Con información de Aristegui Noticias


Por: Salvador Gaytán
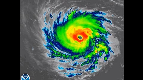
Ciudad de México (Rasainforma.com).- El huracán Florence se fortaleció este lunes a una tormenta de categoría 4 mientras en su camino a la costa este de Estados Unidos, donde se pronostica que impacte en algún lugar de Carolina del Norte o Carolina del Sur el jueves, informó el Centro Nacional de Huracanes (CNH).
Al mediodía, Florence se intensificó a tormenta de categoría 4 al alcanzar vientos máximos de 195 kilómetros por hora. El ojo del huracán se ubica a 95 kilómetros al sureste de Bermuda, de acuerdo con el reporte de las 12 horas locales del CNH.
En dicha categoría, el ojo de Florence se moverá sobre el suroeste del Océano Atlántico entre Bermuda y las Bahamas martes y miércoles, y se espera que llegue a la costa de Carolina del Sur o Carolina del Norte el jueves.
Se espera que Florence sea un huracán extremadamente peligroso hasta el jueves y los vientos de fuerza de ciclón se extienden hasta 45 km del centro y la fuerza de tormenta tropical se extienda hasta 220 km.
Por otra parte, Isaac, que podría golpear las islas del Caribe, es el quinto huracán que se forma en la temporada de 2018 en el Atlántico, detalló.
"Aunque se prevé que Isaac se debilitará cuando se acerque a las Antillas Menores, aún se espera que esté a la altura o cerca de la intensidad del huracán cuando llegue a las islas", detallaron los meteorólogos a través de Twitter.
Con información de Aristegui Noticias